64 W Mariposa Street
64 W Mariposa Street
64 W Mariposa Street
64 W Mariposa Street
64 W Mariposa Street
64 W Mariposa Street
SEE ALL PHOTOS
64 W Mariposa Street
64 W Mariposa Street
64 W Mariposa Street
64 W Mariposa Street
64 W Mariposa Street
64 W Mariposa Street
For Sale

64 W Mariposa Street

64 W Mariposa Street, Altadena, CA 91001

$429,000
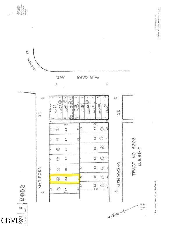
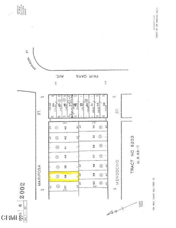
Located just west of Fair Oaks Avenue, this lot presents an excellent opportunity to construct a new home on a flat parcel measuring 5,983 square feet. According to public records, it was previously home to a 720 square foot residence featuring 2 bedrooms and 1 bathroom. The property is in close proximity to local trails and parks including Charles Farnsworth Park, which offers amenities such as pickleball, tennis, and more. Both phases I and II of the property cleanup and debris removal are now complete. Buyers should independently verify all zoning, permitting and rebuilding requirements with Los Angeles County and verify status of utilities with local providers. Buyers are responsible for conducting their own investigations to satisfy themselves regarding future development, ability to add units, required lot size, environmental toxicity, community and neighborhood designation, zoning and taxes. Call for more information.

5,983 Sq.Ft. lot

Jim  Rock

Jim Rock

Features & Amenities

Area & Lot

  • Status For Sale
  • Lot Area5,983 Sq.Ft.
  • MLS® IDP1-22766
  • TypeLand
  • NeighborhoodAltadena
  • View DescriptionNone

Exterior

  • water SourcePublic
  • utilitiesCable Available, Electricity Available, Natural Gas Available, Sewer Available, Water Available
  • lot featuresLevel, Sprinklers None
  • sewerPublic Sewer

Financial

  • Sales Price$429,000
  • Zoning LCR175
image

Schedule a Showing

We would love to show you this beautiful property. Please select your preferred date and time below. An agent will be in touch shortly to confirm your appointment.

Schedule a Showing

We would love to show you this beautiful property. Please select your preferred date and time below. An agent will be in touch shortly to confirm your appointment.

Thank you for your interest in 64 W Mariposa Street, Altadena, CA 91001. We are reviewing your request and will be in touch shortly!

Mortgage Calculator

Estimate your monthly mortgage payment, including the principal and interest, property taxes, and HOA. Adjust the values to generate a more accurate rate.

All estimates are provided for informational purposes only. Actual amounts may vary.
$0,000 Your Payment 20 15 65
$0,000 Your Payment

Altadena

34.1902° N, 118.1313° W

Explore

Work With Us

We will provide the best service possible for every client we represent. We are available to assist you with all your residential needs, please contact us.

Follow Us on Instagram